-->
فروشگاه اینترنتی گل و گیاه نارگیل            
امروز چهارشنبه ۱۴۰۴/۱۱/۸         
  

این گیاه با نام علمی Quercus ilicifolia و نام مرسوم (Bear Oak) که به فارسي بلوط خرسی ناميده ميشود، گياهي از خانواده Fagaceae بومي بومی شرق آمریکای شمالی، به‌ویژه در زمین‌های شنی، خشک و فقیر و مناطق آتش‌خیز مي باشد. نياز هاي اين گياه عبارتند از نور: زیاد رطوبت: کمی مرطوب دماي محيط: 15 تا 25 خاک: خاک شنی یا سنگلاخی با زهکشی خوب، فقیرپسند، با pH اسیدی تا کمی اسیدی (حدود 4.5 تا 6)
بلوط خرسی
بلوط خرسی

دانستنیهای علمی



نام علمي
Quercus ilicifolia
نام لاتين
Bear Oak
خانواده (تيره)

رده‌بندی و خویشاوندی

Quercus ilicifolia که در فارسی گاهی «بلوط خرسی» نامیده می‌شود، گونه‌ای از تیرهٔ Fagaceae است. این گونه در جنس Quercus (بلوط‌ها) و در گروه بلوط‌های موسوم به «بلوط‌های سرخ» دسته‌بندی می‌شود. برگ‌های کوچک، دندانه‌دار و شبیه برگ‌های دارواش‌برگ یا خاس (Ilex) منشأ نام لاتین ilicifolia هستند که به معنی «برگِ شبیه خاس» است.

منطقه بومی و گستره رویش

زیستگاه بومی Quercus ilicifolia بخش‌هایی از آمریکای شمالی است. این بلوط در شرق ایالات متحده، به‌ویژه در نواحی نیوانگلند تا منطقه آپالاش‌ها و بخش‌هایی از سواحل اقیانوس اطلس یافت می‌شود. گستره آن معمولاً با مناطق دارای زمستان‌های سرد و تابستان‌های نسبتاً گرم و خاک‌های سبک و اسیدی هم‌پوشانی دارد.

زیستگاه و بوم‌شناسی

این گونه اغلب در زیستگاه‌های باز، تپه‌های ماسه‌ای، اراضی سنگلاخی و جنگل‌های تنک رشد می‌کند. توانایی جوانه‌زنی مجدد از ریشه و تولید شاخه‌های فراوان، آن را به گونه‌ای مقاوم در برابر آتش‌سوزی‌های سطحی و تنش‌های محیطی تبدیل کرده است. بلوط خرسی معمولاً در مرحله‌های میانی توالی اکولوژیک ظاهر می‌شود و به پایداری جوامع بوته‌زار و جنگل‌های کم‌تراکم کمک می‌کند.

پیشینه مطالعه و اهمیت علمی

مطالعه این گونه از اواخر قرن نوزدهم و اوایل قرن بیستم در فلوریستیک و جنگل‌شناسی آمریکای شمالی شدت گرفت. Quercus ilicifolia به عنوان مدلی برای بررسی سازگاری بلوط‌ها با آتش، خاک‌های فقیر و اقلیم‌های خشن به‌کار می‌رود. همچنین، میوه‌های آن (بلوط‌ها) منبع تغذیه‌ای مهمی برای جانوران وحشی مانند سنجاب‌ها، پرندگان و برخی پستانداران کوچک محسوب می‌شوند و در پژوهش‌های بوم‌شناسی تغذیه‌ای مورد توجه‌اند.



خصوصیات - معرفی


ویژگی‌های کلی ریخت‌شناسی Quercus ilicifolia

بلوط خرسی (Quercus ilicifolia) درختچه‌ای کوتاه‌قد و به‌شدت منشعب است که معمولاً ۱ تا ۳ متر ارتفاع دارد. فرم رویشی آن گسترده و پرشاخه بوده و تاجی متراکم و نیم‌کره‌ای ایجاد می‌کند. پوست تنه در پایه‌ها خاکستری تا قهوه‌ای تیره و نسبتاً زبر است و در شاخه‌های جوان صاف‌تر و روشن‌تر دیده می‌شود.

ساقه و شاخه‌ها

ساقه‌های اصلی کوتاه و به چندین شاخه فرعی قوی تقسیم می‌شوند. شاخه‌های جوان باریک، ابتدا سبز تا قهوه‌ای مایل به قرمز و با افزایش سن خاکستری می‌شوند. گره‌ها نزدیک به هم و میان‌گره‌ها کوتاه است که به تراکم شاخساره کمک می‌کند. جوانه‌ها کوچک، تخم‌مرغی و اغلب با فلس‌های قهوه‌ای تیره پوشیده شده‌اند.

برگ‌ها

برگ‌ها ساده، متناوب و نسبتاً ضخیم هستند. طول برگ معمولاً ۴ تا ۸ سانتی‌متر و عرض آن ۲ تا ۵ سانتی‌متر است. لبه برگ‌ها عمیقاً لوب‌دار و شبیه برگ بلوط‌های سخت‌برگ است؛ هر برگ ۳ تا ۷ لوب نوک‌تیز یا خاردار دارد. سطح رویی برگ سبز تیره و براق و سطح زیرین کم‌رنگ‌تر و کمی کرک‌دار است. دمبرگ کوتاه و معمولاً کمتر از ۱ سانتی‌متر طول دارد.

گل‌ها و ساختار زایشی

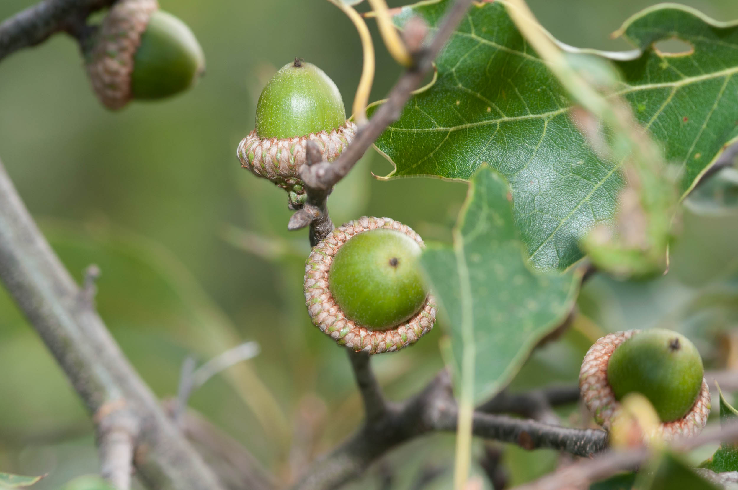
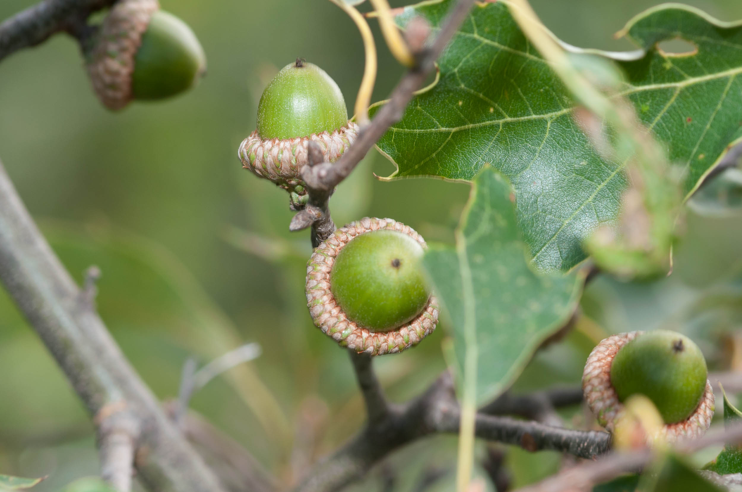
بلوط خرسی تک‌پایه است؛ گل‌های نر و ماده روی یک بوته ولی در ساختارهای جداگانه قرار دارند. گل‌های نر در شاتون‌های آویزان، باریک و زرد مایل به سبز ظاهر می‌شوند. گل‌های ماده منفرد یا در گروه‌های کوچک در انتهای شاخه‌های جوان قرار دارند و بسیار کوچک و سبز رنگ هستند. میوه از نوع فندق بلوطی (آکورن) کوچک تا متوسط است که بخشی از آن در کاسه چوبی فنجانی‌شکل فرو رفته و سطح این کاسه با فلس‌های ریز و خاکستری تا قهوه‌ای پوشیده شده است.



شرایط نگهداری بلوط خرسی



نور مورد نياز
نور مورد نیاز گیاه بلوط خرسی
زیاد
آبياري و رطوبت
رطوبت مورد نیاز  بلوط خرسی
کمی مرطوب
دماي مورد نياز
دمای مورد نیاز  بلوط خرسی
15 تا 25 درجه سانتیگراد
خاک مورد نياز
خاک مورد نیاز  بلوط خرسی
خاک شنی یا سنگلاخی با زهکشی خوب، فقیرپسند، با pH اسیدی تا کمی اسیدی (حدود 4.5 تا 6)

معرفی کلی شرایط محیط رشد بلوط خرسی (Quercus ilicifolia)

بلوط خرسی یک درختچه بومی مناطق معتدل سرد آمریکای شمالی است که برای رشد مطلوب به محیط نسبتاً خنک، نور فراوان و خاک‌های سبک نیاز دارد. این گونه بیشتر در حاشیه جنگل‌ها، دامنه‌های باز و خاک‌های فقیر دیده می‌شود و نسبت به خشکی و باد مقاوم است.

دما و نیازهای حرارتی

بلوط خرسی در نواحی دارای زمستان‌های سرد و تابستان‌های معتدل بهترین رشد را نشان می‌دهد. دامنه دمای بهینه در فصل رشد حدود ۱۵ تا ۲۵ درجه سانتی‌گراد است، اما گیاه یخبندان‌های زمستانی تا حدود منفی ۲۰ درجه را نیز تحمل می‌کند. گرمای شدید همراه با خشکی طولانی می‌تواند رشد نهال‌های جوان را کاهش دهد.

رطوبت و آبیاری

این گونه به طور طبیعی در خاک‌های نسبتاً خشک تا نیمه‌مرطوب رشد می‌کند و به رطوبت دائماً اشباع حساس است. خاک با زهکش خوب و آبیاری عمیق اما غیر مکرر برای استقرار ریشه‌ها مناسب است. در سال‌های نخست استقرار، تأمین رطوبت منظم ضروری است، اما پس از استقرار، گیاه تحمل خشکی بالایی دارد.

نور و شدت تابش

بلوط خرسی یک گونه آفتاب‌دوست است و بهترین رشد را در مکان‌های کاملاً آفتابی با حداقل ۶ ساعت نور مستقیم در روز دارد. در سایه سنگین، طول میان‌گره زیاد، تاج کم‌پشت و تولید بذر کاهش می‌یابد. نور مناسب برای تشکیل جوانه‌های گل و افزایش تراکم برگ‌ها ضروری است.

خاک، بافت و اسیدیته

این گیاه در خاک‌های شنی، شنی‌لومی و لومی با زهکش قوی بهترین عملکرد را دارد. خاک‌های نسبتاً اسیدی با pH حدود ۴٫۵ تا ۶ برای رشد ریشه و جذب عناصر غذایی مناسب‌ترند. خاک‌های سنگین و رسیِ اشباع از آب باید اصلاح یا از آن‌ها اجتناب شود، زیرا خطر پوسیدگی ریشه را افزایش می‌دهند.





منابع :




ساير تصاوير :
 


 
 
 


گياهان ديگر از همين جنس :
 



گياهان ديگر از همين خانواده :
 
  

نظرات و پرسشهای کاربران

چت آنلاین
اگر سوالی دارید
بفرمایید
پایگاه اینترنتی نارگیل به عنوان یکی از اولین سایت های تخصصی و جامع ترین دایره المعارف گل و گیاه و باغبانی فعالیت خود را از سال ۱۳۸۷ آغاز کرده و از سال ۱۳۹۱ امکان خرید اینترتی محصولات مرتبط با این حوزه مانند انواع گل و گیاه و بذر، خاک و کود های کشاورزی، سموم دفع آفات و ابزار باغبانی را برای علاقه مندان گل و گیاه فراهم نموده است.
© 2026 تمام حقوق مادی و معنوی این سایت متعلق به نارگیل است. استفاده از مطالب در رسانه های آموزشی با ذکر منبع و لینک به صفحه مربوطه بلا مانع است.