-->
فروشگاه اینترنتی گل و گیاه نارگیل            
امروز پنجشنبه ۱۴۰۴/۱۱/۹         
  

Diospyros mespiliformis Jackalberry که به فارسی جاکال بری / آبنوس آفریقایی نامیده میشود، گیاهی از خانواده آبنوس، بومی آفریقا می باشد. نیاز های این گیاه عبارتند از نور: زیاد رطوبت: مرطوب دمای محیط: نواحی گرمسیری و نیمه گرمسیری خاک: خاک هایی با تهویه و رطوبت مناسب
جاکال بری / آبنوس آفریقایی
جاکال بری / آبنوس آفریقایی

دانستنیهای علمی



نام علمي
Diospyros mespiliformis
نام لاتين
Jackalberry
خانواده (تيره)

خانواده و رده‌بندی

Diospyros mespiliformis عضوی از خانواده Ebenaceae و از جنس Diospyros است که شامل گونه‌های متعدد آبنوس و خرمالو می‌شود. این گونه یکی از مهم‌ترین درختان بومی سافاناهای آفریقا به‌عنوان نمایندهٔ آبنوس‌های وحشی است.

منطقه بومی و پراکنش

زادگاه جاکال بری بخش‌های وسیعی از آفریقای سیاه، از سنگال و سودان تا آفریقای جنوبی است. این درخت در کناره رودخانه‌ها، دشت‌های سیلابی، لبه جنگل‌های خشک و سافاناهای چوبی رشد می‌کند. تحمل بالای آن به خشکی و سیلاب، سبب شده طیفی گسترده از زیستگاه‌های نیمه‌گرمسیری تا گرمسیری را اشغال کند.

ویژگی‌های زیستگاهی و بوم‌شناختی

این گونه اغلب به‌عنوان درخت سایه‌دار کلیدی در سافانا عمل می‌کند و میوه‌های شیرین آن منبع غذایی مهمی برای پستانداران وحشی، به‌ویژه شغال‌ها، است. چوب آن تیره، سخت و سنگین است و در رده آبنوس‌های تجاری قرار می‌گیرد، هرچند بهره‌برداری بی‌رویه می‌تواند جمعیت‌های محلی را تهدید کند.

تاریخچه و ارتباط با انسان

در بسیاری از فرهنگ‌های آفریقایی، این درخت با باورهای آیینی و کمربندهای مقدس روستا پیوند خورده است. استفاده سنتی از میوه، برگ و پوست برای تغذیه و طب گیاهی، سابقه‌ای چندصدساله در پزشکی بومی آفریقا دارد.



جاکال بری / آبنوس آفریقایی جاکال بری / آبنوس آفریقایی

خصوصیات - معرفی



"جاکال بری" یا "آبنوس آفریقایی" درختی خزاندار از خانواده ی آبنوس است که بیشتر در ساوان های آفریقا می روید. به دلیل علاقه ی شغال ها (Jackal) به میوه های این گیاه، به این اسم نامگذاری شده است. درخت جاکال بری بزرگترین گونه ی این جنس در آفریقای جنوبی است. 
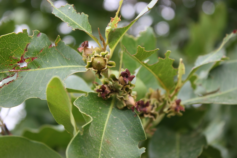
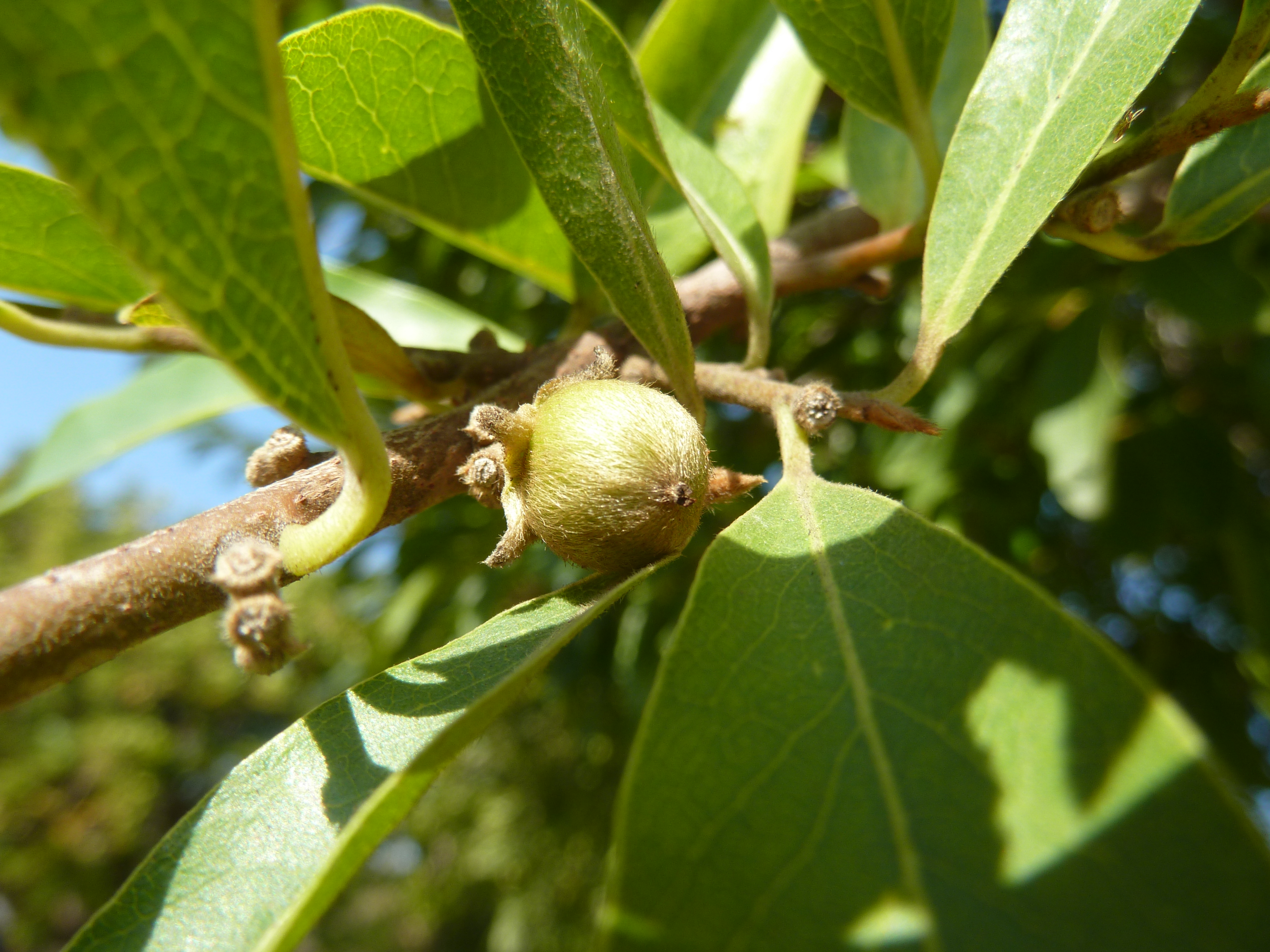
درختان بالغ دارای تنه ای به رنگ خاکستری با پوستی شکاف خورده هستند. یک درخت بزرگ و بالغ می تواند حدود 4 تا 6 متر نیز ارتفاع داشته باشد. در برخی موارد نیز درختانی به ارتفاع حدود 25 متر از این گونه شناسایی شده است. چوب این درختان در گستره ی مسیعی از رنگ ها از قهوه ای مایل به قرمز تا قهوه ای بسیار تیره دیده می شوند. این درخت دارای شاخ و برگی انبوه و برگ هایی بیضی شکل، به رنگ سبز تیره می باشد که این برگ ها اغلب مورد تغذیه ی فیل ها و بوفالوها قرار می گیرند. گل ها در فصول بارانی تشکیل می شوند. این گل ها ناقص هستند و گل های نر و ماده به صورت مجزا روی درختان جداگانه ای تشکیل می گردند. گل ها به رنگ کرم یا شیری دیده می شوند. درختان ماده در فصول خشک، تولید میوه می کنند که این میوه ها اغلب به وسیله تعدادی از حیوانات وحشی خورده می شوند. این میوه ها تخم مرغی شکل، به رنگ زرد و به قطر حدود 20 تا 30 میلیمتر می باشند. میوه های رسیده به رنگ ارغوانی دیده می شوند. 



Jackalberry Jackalberry

شرایط نگهداری جاکال بری / آبنوس آفریقایی



نور مورد نياز
نور مورد نیاز گیاه جاکال بری / آبنوس آفریقایی
زیاد
آبياري و رطوبت
رطوبت مورد نیاز  جاکال بری / آبنوس آفریقایی
مرطوب
دماي مورد نياز
دمای مورد نیاز  جاکال بری / آبنوس آفریقایی
نواحی گرمسیری و نیمه گرمسیری
خاک مورد نياز
خاک مورد نیاز  جاکال بری / آبنوس آفریقایی
خاک هایی با تهویه و رطوبت مناسب


درختان جاکال بری اغلب روی تپه ماهورهای موریانه ها رشد می کنند و آبرفتی و رسوبی را برای رشد ترجیح می دهند. اما معمولاً در ساوان ها و روی خاک های شنی می روسند. این گیاه به صورت همزیست با موریانه ها زندگی می کند. به طوری که موریانه ها تهویه ی خاک را انجام داده و در نتیجه چوب های این درخت نیز محل زندگی مناسبی برای آنها خواهند بود. موریانه ها چوب های محل زندگی خود را نمی خورند بنابراین درخت از بین نمی رود. 
وجود رطوبت و تهویه ی مناسب در خاک برای رشد این درختان بسیار مناسب است که موریانه ها می توانند این شرایط را برای گیاه فراهم کنند. 



Diospyros mespiliformis Diospyros mespiliformis

خواص و کاربردهای دارویی و صنعتی



میوه های این گیاه به صورت سنتی در آفریقا به مصرف خوراکی می رسد. این میوه ها می توانند تغذیه، امنیت غذایی و غذای روستائیان منطقه را افزایش داده و بهبود بخشند. این میوه خوراکی بوده و دارای طعمی مشابه طعم و مزه ی لیمو است. می توان این میوه ها را به صورت کنسرو شده و مربا نیز تهیه نمود. همچنین می توان آنها را خشک کرده و پودر نمود و سپس به مصرف رساند. همچنین اغلب به صورت جوشانده آبجو و کنیاک نیز مورد استفاده قرار می گیرند.
برگ ها، پوست و ریشه های این گیاه حاوی تانن هستند که می توانند به عنوان قابض و یا بند آورنده ی خون مورد استفاده قرار گیرند.
ریشه های این گیاه همچنین برای از بین بردن پارازیت ها و انگل ها و نیز برای درمان جذام به کار می روند. 
چوب این گیاه برای مصرف موریانه ها غیرقابل نفوذ است و این موجودات، چوب گیاه را از بین نمی برند. این چوب بسیار خوب و محکم بوده و اغلب برای ساختن سقف های چوبی و لوازم منزل مورد استفاده قرار می گیرند. تنه های درخت نیز برای ساخت قایق های باریک به کار می روند. 



جاکال بری / آبنوس آفریقایی - معرفی درختان میوه جاکال بری / آبنوس آفریقایی - معرفی درختان میوه

مقابله به آفات جاکال بری / آبنوس آفریقایی


آفات مهم Diospyros mespiliformis

مهم‌ترین آفات جاکال بری شامل شته‌ها، شپشک‌های آردآلود، تریپس و لارو برخی پروانه‌ها هستند. این آفات با مکیدن شیره گیاهی سبب زردی برگ، ریزش میوه و کاهش رشد می‌شوند. شته و شپشک با تولید عسلک، سطح برگ را چسبناک کرده و رشد قارچ فوماژین (لکه سیاه دوده‌ای) را تسهیل می‌کنند. لارو پروانه‌ها نیز برگ‌ها را می‌جوند و در ضعف شدید گیاه نقش دارند.

بیماری‌های قارچی و فیزیولوژیک

در مناطق گرم و مرطوب، پوسیدگی ریشه و طوقه ناشی از قارچ‌هایی مانند فیتوفتورا و فوزاریوم شایع است. این بیماری‌ها موجب پژمردگی تدریجی، سیاه شدن ریشه‌های ظریف و در نهایت مرگ گیاه می‌شوند. لکه برگی قارچی و آنتراکنوز نیز روی برگ و میوه دیده شده و با ایجاد لکه‌های قهوه‌ای و ریزش زودرس، کیفیت محصول را کاهش می‌دهند.

روش‌های پیشگیری و مبارزه

اصول مدیریت تلفیقی (IPM) برای این گونه بسیار مؤثر است. استفاده از نهال سالم، خاک با زهکش خوب و آبیاری منظم، خطر پوسیدگی ریشه را کاهش می‌دهد. هرس شاخه‌های بیمار و حذف میوه‌ها و برگ‌های آلوده، چرخه آلودگی را می‌شکند. برای کنترل شته و شپشک، رهاسازی کفشدوزک و بالتوری یا محلول‌پاشی صابون حشره‌کش توصیه می‌شود. در آلودگی شدید، استفاده هدفمند از سموم سیستمیک و قارچ‌کش‌های مس‌دار، طبق دستور متخصص گیاه‌پزشک انجام گیرد.



جاکال بری / آبنوس آفریقایی جاکال بری / آبنوس آفریقایی

نحوه تکثیر جاکال بری / آبنوس آفریقایی



تکثیر این گیاهان از طریق کشت بذرها یا ریشه جوش ها صورت می گیرد. قبل از کشت بذرها باید آنها را در آب غوطه ور کرد یا به مدت چند دقیقه آنها را برشته نمود تا خواب بذر شکسته شود. در نیمکره ی جنوبی بذرها را باید در آگست تا مارچ کشت نمود. بذرهای این گیاهان به خوبی جوانه خواهند زد. این بذور برای کشت به نواحی مرطوب و خاک های لومی رسی نیاز دارند. این گیاه پس از جوانه زنی نسبتاً کند رشد می باشد و بنابراین به آبیاری فراوان برای رشد مطلوب نیاز دارد. 



Jackalberry Jackalberry



منابع :

blueplanetbiomes.org
plantzafrica.com
en.wikipedia.org



ساير تصاوير :
 


 
 
 


گياهان ديگر از همين جنس :
 



گياهان ديگر از همين خانواده :
 
  

نظرات و پرسشهای کاربران

چت آنلاین
اگر سوالی دارید
بفرمایید
پایگاه اینترنتی نارگیل به عنوان یکی از اولین سایت های تخصصی و جامع ترین دایره المعارف گل و گیاه و باغبانی فعالیت خود را از سال ۱۳۸۷ آغاز کرده و از سال ۱۳۹۱ امکان خرید اینترتی محصولات مرتبط با این حوزه مانند انواع گل و گیاه و بذر، خاک و کود های کشاورزی، سموم دفع آفات و ابزار باغبانی را برای علاقه مندان گل و گیاه فراهم نموده است.
© 2026 تمام حقوق مادی و معنوی این سایت متعلق به نارگیل است. استفاده از مطالب در رسانه های آموزشی با ذکر منبع و لینک به صفحه مربوطه بلا مانع است.