-->
فروشگاه اینترنتی گل و گیاه نارگیل            
امروز چهارشنبه ۱۴۰۴/۱۱/۸         
  

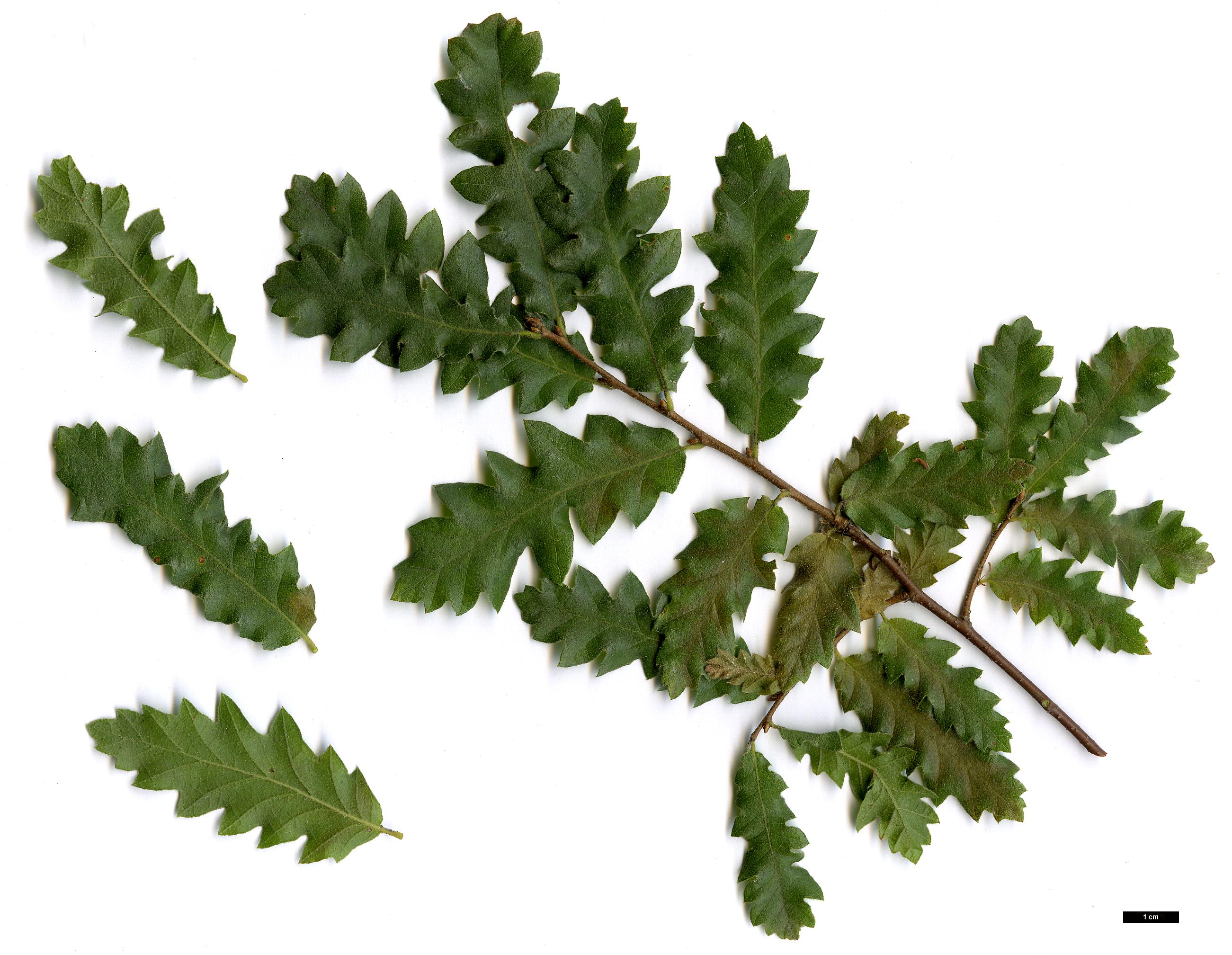
Quercus brantiiBrant's oak که به فارسی بلوط برانتی / بلوط ایرانی نامیده میشود، گیاهی از خانواده فاگاسه بومی غرب آسیا (ایران، عراق، سوریه، ترکیه) می باشد. نیاز های این گیاه عبارتند از نور: متوسط رطوبت: کمی مرطوب دمای محیط: نواحی معتدل خاک: انوع مختلفی از خاک ها
بلوط برانتی / بلوط ایرانی
بلوط برانتی / بلوط ایرانی

دانستنیهای علمی



نام علمي
Quercus brantii
نام لاتين
Brant's oak
خانواده (تيره)


درخت "بلوط برانتی" یا "بلوط ایرانی" یکی از گونه های جنس بلوط و بومی غرب آسیا (شامل ایران، عراق، سوریه و ترکیه) است. این درختان حدود بیش از 50 درصد پوشش جنگلی رشته کوه های زاگرس را در ایران تشکیل می دهند و یکی از مهمترین گونه های درختی در این نواحی می باشند. ایرانی ها از بذر این گیاه در طب سنتی استفاده می کنند. علاوه بر این، از چوب این درختان به عنوان سوخت، زغال چوب و الوار استفاده می شود.
جمعی از مردم و رسانه های منطقه زاگرس، روز هفتم فروردین ماه را به نام «روز پاسداشت جنگل های بلوط» نامگذاری کرده اند. این اقدام به دنبال وخیم شدن وضعیت بلوط های زاگرس به دنبال پدیده «زوال بلوط» و تأثیرات مخرب ریزگردها و سایر عوامل انسانی و طبیعی تهدید کننده درختان بلوط، به منظور جلب حمایت ها و مشارکت های مردمی برای حفظ این منابع صورت گرفته است. در این روز مردم به هواداری از درختان بلوط به دل طبیعت می روند و با نمادها و لباس های محلی و پلاکاردها و امثال آن می کوشند توجه عموم را به این منبع ارزشمند طبیعی کشور جلب کنند. 



بلوط برانتی / بلوط ایرانی بلوط برانتی / بلوط ایرانی

خصوصیات - معرفی


خصوصیات گیاه:

گونه بلوط ایرانی یا بَرودار، درختی با ارتفاع تا ۱۰ متر، که از شمال غربی تا جنوب شرقی رشته کوه زاگرس وجود دارد و به علت انعطاف پذیری خاص خود نسبت به دیگر گونه ها، توانایی رویش در گونه های مختلف خاک، ارتفاع (از ۴۵۰ متر در گدارلندر مسجد سلیمان گرفته تا ۲۶۰۰ متر از سطح دریا در ارتفاعات لته کال یاسوج) و جهات جغرافیایی را دارد. در مناطق مختلف با نام های گوناگونی چون بلوط ایرانی، برو، شکین، هلوین، بلی، بلو و داربرو نامیده می شود. یکی از ویژگی های بسیار مهم این گونه، که نقش بسیار اساسی در بقای آن داشته قدرت خارق العاده جست زنی آن (به دو صورت پاجوش و ریشه جوش) است.



Brant's oak Brant's oak

شرایط نگهداری بلوط برانتی / بلوط ایرانی



نور مورد نياز
نور مورد نیاز گیاه بلوط برانتی / بلوط ایرانی
متوسط
آبياري و رطوبت
رطوبت مورد نیاز  بلوط برانتی / بلوط ایرانی
کمی مرطوب
دماي مورد نياز
دمای مورد نیاز  بلوط برانتی / بلوط ایرانی
نواحی معتدل
خاک مورد نياز
خاک مورد نیاز  بلوط برانتی / بلوط ایرانی
انوع مختلفی از خاک ها

دامنهٔ رویش و اقلیم مناسب

Quercus brantii یا بلوط ایرانی گونه‌ای سازگار با اقلیم نیمه‌خشک و مدیترانه‌ای زاگرس است. این درخت در ارتفاع تقریبی ۷۰۰ تا ۲۲۰۰ متر از سطح دریا رشد مطلوب دارد. بهترین عملکرد رویشی در مناطقی با زمستان‌های سرد ملایم و تابستان‌های گرم و نسبتاً خشک دیده می‌شود. متوسط دمای سالانهٔ مناسب حدود ۱۰ تا ۱۸ درجه سانتی‌گراد است و تحمل دمای زیر صفر در زمستان برای این گونه امکان‌پذیر است، به‌شرط آنکه یخبندان‌های شدید و طولانی نباشند.

دما، بارش و رطوبت

بلوط ایرانی به دوره‌های خشکی تابستان مقاوم است اما برای استقرار نهال‌ها، بارش سالانهٔ ۴۰۰ تا ۸۰۰ میلی‌متر ایده‌آل محسوب می‌شود. نهال‌های جوان نسبت به تنش خشکی و گرمای شدید حساس‌تر از درختان بالغ هستند و در سال‌های نخست نیازمند رطوبت خاک یکنواخت‌تر می‌باشند. این گونه در رطوبت نسبی متوسط (نه خیلی مرطوب و نه بسیار خشک) عملکرد بهتری دارد و در اقلیم‌های بسیار مرطوب و مه‌آلود مستعد بیماری‌های قارچی می‌شود.

نور و توپوگرافی

Quercus brantii گونه‌ای آفتاب‌دوست است و در مکان‌های با نور کامل، رویش، تولید بذر و فرم تاج بهینه‌تری دارد. نیم‌سایه را در سنین جوانی تا حدی تحمل می‌کند، اما استمرار سایه باعث کاهش رشد و ضعف درخت می‌شود. جهت شیب‌های جنوبی و جنوب‌غربی، با وجود خشکی بیشتر، برای بلوط بالغ مناسب است، در حالی‌که برای نهال‌ها شیب‌های شمالی و شرقی با تابش ملایم‌تر ارجحیت دارند.

خاک، بافت و ویژگی‌های شیمیایی

خاک‌های عمیق، نیمه‌سنگین تا سنگین (لوم، لوم‌رسی) با زهکشی مناسب بهترین بستر رشد بلوط ایرانی هستند. این گونه در خاک‌های کم‌عمق شیبدار نیز می‌روید، اما رشد قطری و ارتفاعی محدود می‌شود. pH مناسب در محدودهٔ ۶ تا ۷٫۸ است و خاک‌های کمی آهکی را تحمل می‌کند. شوری زیاد برای این گونه نامطلوب است. مواد آلی متوسط تا بالا، ساختار پایدار خاک و تهویهٔ کافی به توسعهٔ ریشه‌های عمیق و افزایش مقاومت به خشکی کمک می‌کند.



Quercus brantii Quercus brantii

خواص و کاربردهای دارویی و صنعتی


ترکیب شیمیایی:

میوه ی بلوط حاوی نشاسته، پروتئین، قندهای مختلف مخصوصاً کوئرسیت، مادهٔ روغنی و بالاخره تانن است.
برگ و پوست بلوط نیز دارای تانن ویژه ای به نام اسید کوئرسی تانیک محلول در آب، نوعی قند بنام کوئرسیت، یک مادهٔ تلخ بنام کوئرسیتین، لعاب و یک مادهٔ قرمز بنام قرمز بلوط است.
میوه بلوط شمال و جنوب ایران و نیز گونه های مختلف آن از نظر مواد غذایی متفاوتند. اما نتایج آنالیز میوه بلوط شمال ایران به همراه پوسته اش نشان داده که شامل ۱۱ درصد چربی، ۱۱٫۵ درصد فیبر، ۲۶۳۰ کیلوکالری بر کیلوگرم انرژی و دارای ۱۸٫۵ درصد پروتئین است. 




تانن موجود در میوه بلوط که در برخی زبان محلی کشور به آن «شوکه» می گویند، با تقویت مخاط معده در درمان ورم و زخم معده مورد استفاده قرار می گیرد و می تواند در بهبود زودتر زخم ها و خونریزی ها و درمان اسهال مفید باشد. بخش هایی از درخت بلوط که کاربرد درمانی دارند عبارتند از میوه، پوست، گال و برگ.
ميوه بلوط از قديم الايام مورد مصرف بوده و از آن به عنوان غذا استفاده می كرده اند. حتی اگر آنرا خشك و پودر كرده و با آرد گندم مخلوط می كنند و از آن نان تهيه می نمايند. می توان بلوط را بو داده و سپس آنرا پودر كرده و از آن چای تهيه كرد. مقدار مصرف آن يك قاشق چايخوری در يك ليوان آب جوش می باشد .بواسیر را برطرف می کند .اسهال ساده و اسهال خونی را رفع می کند .درد معده و گاز معده را برطرف می کند .برای رفع کم خونی مؤثر است .نرمی استخوان را درمان می کند .برای تقویت عمومی بدن مؤثر است .برای معالجه اسهال اطفال، پودر بلوط را با کاکائو مخلوط کرده و دم کرده آنرا به اطفال می دهند .
برای استفاده از پوست درخت بلوط می توان آنرا دم کرده و با عسل مخلوط کنید و یا اینکه یک قاشق پودر آن را در یک لیوان آبجوش ریخته و به مدت 10 دقیقه دم کنید. خونریزیها را متوقف می سازد .درمان کننده بواسیر خونی است .خاصیت ضد عفونی دارد .ادرار را زیاد می کند .ترشحات زنانه را از بین می برد.
برای استفاده خارجی از جوشانده پوست درخت استفاده می شود. بدین منظور باید 15 گرم پوست درخت را در یک لیتر آب جوش ریخته و بگذارید به آرامی بجوشد تا حجم آن به دو سوم تقلیل یابد .از این جوشانده می توان بعنوان کمپرس استفاده کرد و یا آنرا در وان حمام ریخته و در آن استراحت نمود. خون مردگی را درمان می کند .اگزما را از بین می برد. برای درمان بیماری های پوستی در وان حمام که در آن جوشانده پوست درخت بلوط را ریخته اید به مدت یک ربع ساعت استراحت کنید .اگر واریس دارید، این قسمت ها را با جوشانده پوست بلوط کمپرس کنید .
در بخش های مختلف کشور که جنگل های بلوط وجود دارند از آرد کردن میوه بلوط، نان بلوط تهیه می شود.
دامداران با توجه به گرانی خوراک دام، دانه های بلوط را در پاییز جمع آوری می کنند و به عنوان تغذیه جایگزین در زمستان به دام ها می دهند که علاوه بر خواص غذایی بسیار، برای سلامت دام ها نیز مفید است.
از دانه، برگ و نیز گال درخت بلوط در داروسازی، رنگرزی (به عنوان یکی از مواد رنگزای طبیعی)، مرکب سازی و صنعت چرم سازی استفاده می شود. چوب بلوط بسیار محکم است و از آن برای ساخت وسایل و یا سوزاندن استفاده می شود. برخی گونه های بلوط به عنوان درخت زینتی کاشته می شوند و از برگ های برخی گونه های آن همچون یوول به عنوان بازدار زیستی آفت ها در باغ و گلخانه استفاده می شود.
چوب بلوط با چگالی حدود 0/75 گرم بر سانتی متر مکعب از سختی و استحکام بالایی برخوردار است. همچنین بدلیل داشتن مقادیر تانن بالا، در برابر حشرات و حملات قارچ ها بسیار مقاوم است .چوب این درخت از مرغوبترین چوب هاستپ و زغال آن نیز مرغوب است. این موضوع یکی از دلایل قطع بی رویه این درختان می باشد که این جنگل ها را تهدید می کند.



معرفی گیاهان - بلوط برانتی / بلوط ایرانی معرفی گیاهان - بلوط برانتی / بلوط ایرانی

مقابله به آفات بلوط برانتی / بلوط ایرانی



آفات مهم بلوط ایرانی (Quercus brantii)

از آفات رایج می‌توان به حشرات برگ‌خوار (مانند لارو پروانه‌ها)، سوسک‌های چوب‌خوار و برخی شپشک‌ها و شته‌ها اشاره کرد که با کاهش سطح فتوسنتز، ضعف عمومی و خشکیدگی سرشاخه‌ها همراه می‌شوند. پایش منظم تاج‌پوشش و تنه، به‌ویژه در بهار و تابستان، برای تشخیص زودهنگام ضروری است.


امراض و اختلالات شایع

مهم‌ترین بیماری‌ها شامل پوسیدگی ریشه و طوقه (در خاک‌های سنگین و ماندابی)، شانکرها و زخم‌های قارچی روی تنه و شاخه‌ها، و لکه‌برگی‌ها در شرایط رطوبت بالا است. همچنین خشکی و تنش‌های اقلیمی می‌توانند علائم بیماری را تشدید کرده و زمینه را برای حمله عوامل ثانویه فراهم کنند.


روش‌های پیشگیری و کنترل

مدیریت آب و زهکشی نخستین اقدام برای کاهش پوسیدگی ریشه است؛ از آبیاری سنگین و غرقابی پرهیز شود. برای آفات برگ‌خوار، حفظ دشمنان طبیعی و در صورت طغیان، استفاده هدفمند از روش‌های کم‌خطر (مانند جمع‌آوری لاروها در لکه‌های محدود) توصیه می‌شود. شاخه‌های آلوده به شانکر باید هرس و امحا شوند و ابزار هرس ضدعفونی گردد. تقویت درخت با تغذیه متعادل، کاهش تراکم، و جلوگیری از زخم‌کردن تنه، کلید کاهش حساسیت به آفات و بیماری‌ها است.



بلوط برانتی / بلوط ایرانی بلوط برانتی / بلوط ایرانی

نحوه تکثیر بلوط برانتی / بلوط ایرانی



تکثیر طبیعی این درخت از طریق کاشته شدن میوه آن صورت می گیرد. جوندگان خانواده سنجاب جهت ذخیره سازی میوه بلوط برای فصل زمستان، آن را در عمق مناسبی دفن می کنند. فراموش کردن جای برخی از این میوه ها توسط سنجاب ها باعث می شود که در بهار سال بعد جوانه بزنند. این جوندگان موجب زایش مداوم جنگل های بلوط هستند. سنجاب ها از روی غریزه مقاوم ترین دانه ها را برای دفن کردن انتخاب می کنند و بنابراین احتمال سالم ماندن میوه در زیر خاک و جوانه زدن آن در سال بعد بالا می رود.
جست زنی (به دو صورت پاجوش و ریشه جوش) نیز از راه های تکثیر در برخی از گونه های بلوط است.



Brant's oak Brant's oak



منابع :

en.wikipedia.org
fa.wikipedia.org



ساير تصاوير :
 


 
 
 


گياهان ديگر از همين جنس :
 



گياهان ديگر از همين خانواده :
 
  

نظرات و پرسشهای کاربران

چت آنلاین
اگر سوالی دارید
بفرمایید
پایگاه اینترنتی نارگیل به عنوان یکی از اولین سایت های تخصصی و جامع ترین دایره المعارف گل و گیاه و باغبانی فعالیت خود را از سال ۱۳۸۷ آغاز کرده و از سال ۱۳۹۱ امکان خرید اینترتی محصولات مرتبط با این حوزه مانند انواع گل و گیاه و بذر، خاک و کود های کشاورزی، سموم دفع آفات و ابزار باغبانی را برای علاقه مندان گل و گیاه فراهم نموده است.
© 2026 تمام حقوق مادی و معنوی این سایت متعلق به نارگیل است. استفاده از مطالب در رسانه های آموزشی با ذکر منبع و لینک به صفحه مربوطه بلا مانع است.