-->
فروشگاه اینترنتی گل و گیاه نارگیل            
امروز چهارشنبه ۱۴۰۴/۱۱/۸         
  

Byrsonima basilobalocustberries که به فارسی لوکاست بِری نامیده میشود، گیاهی از خانواده مالپیقیاسه بومی ساوان های برزیل می باشد. نیاز های این گیاه عبارتند از نور: زیاد رطوبت: کمی خشک دمای محیط: نواحی گرمسیری و نیمه گرمسیری خاک: متحمل به خاک هایی با شرایط سخت
لوکاست بِری
لوکاست بِری

دانستنیهای علمی



نام علمي
Byrsonima basiloba
نام لاتين
locustberries
خانواده (تيره)

جنس Byrsonima شامل حدود 135 گونه از درختان، درختچه ها و گیاهان نیمه درختچه ای است. که در نواحی گرمسیری و نیمه گرمسیری جنوب مکزیک، جنوب شرق فلوریدا و کاریبین تا جنوب شرق برزیل یافت می شوند. 



لوکاست بِری لوکاست بِری

خصوصیات - معرفی


"لوکاست بِری" یکی از 70 جنس از خانواده ی مالپیقیاسه و از گروه گیاهان گلدار و راسته ی مالپیقیالس می باشد. 
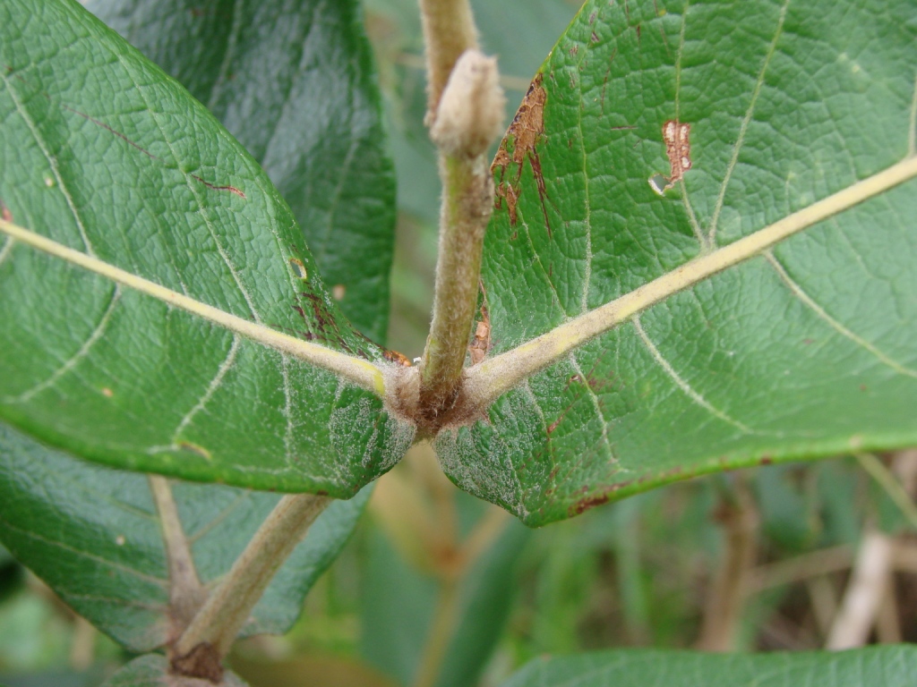
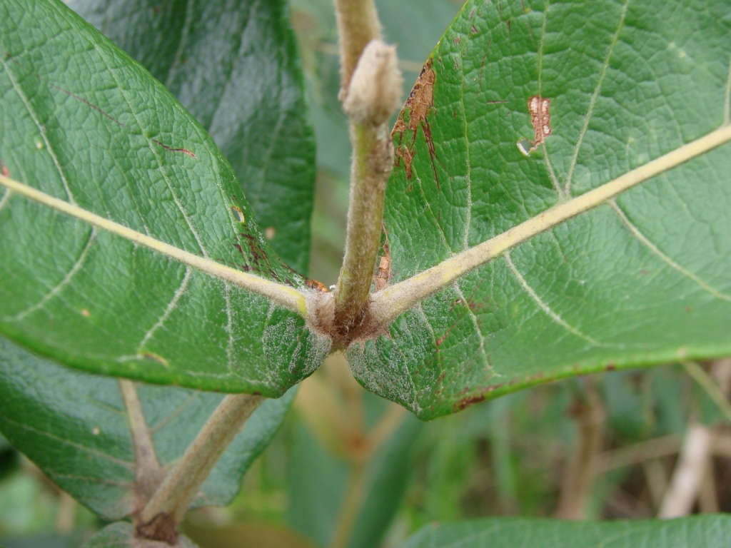
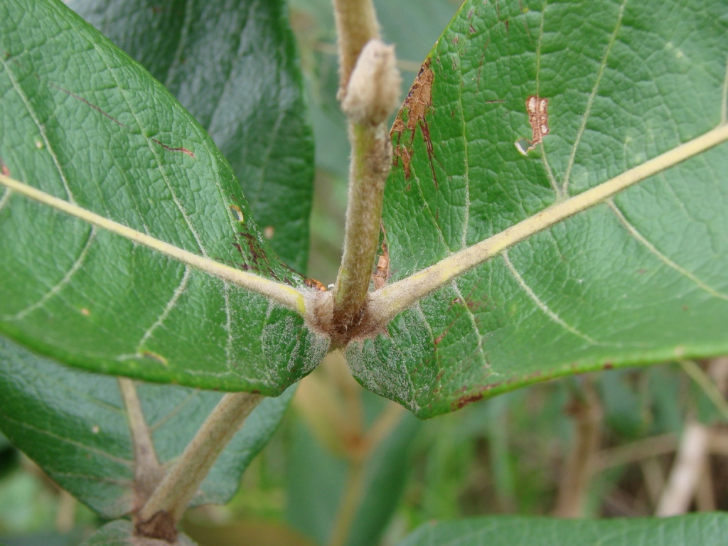
این گیاهان دارای برگ های، متقابل، یکپارچه، بی دمبرگ و ساده هستند. برگ های این گیاه از گونه ی نانسی بزرگتر است و دارای کرک های بسیار کوچکی می باشد.
گل ها زردرنگ، دوجنسی، پنج چرخه ای، خوشه ای و انتهایی بوده و میوه ای گوشتی، خوراکی و زرد رنگ دارند. 
تنه ی اصلی آن بصورت استوانه ای شکل و دارای 30 تا 40 سانتیمتر قطر می باشد. پوست درخت نیز دارای بافت چوب پنبه ای است. 
گرده افشانی گل های لوکاست بری توسط یک سری از زنبورهای بومی که روغن گل های گیاه را جمع آوری می کنند، صورت می گیرد. 
لوکاست بری (بیرسونیما باسیلوبا) دارای آندوکارپی سخت است که باید شکسته شود تا جوانه زنی بذر، تسهیل یابد.
بخش هوایی این گیاهان پیوسته در حال رشد است و هیچ دوره کمون و خوابی ندارد.



locustberries locustberries

شرایط نگهداری لوکاست بِری



نور مورد نياز
نور مورد نیاز گیاه لوکاست بِری
زیاد
آبياري و رطوبت
رطوبت مورد نیاز  لوکاست بِری
کمی خشک
دماي مورد نياز
دمای مورد نیاز  لوکاست بِری
نواحی گرمسیری و نیمه گرمسیری
خاک مورد نياز
خاک مورد نیاز  لوکاست بِری
متحمل به خاک هایی با شرایط سخت

این گونه های گیاهی در ساوان های خشک کشت می شوند و با شرایط آنجا وفق پیدا می کنند و مناسب رشد در این نواحی می گردند.



Byrsonima basiloba Byrsonima basiloba

خواص و کاربردهای دارویی و صنعتی


گونه های درختی برای زندگی تعدادی از حیوانات دارای اهمیت هستند. میوه های این گیاه نیز برای تغذیه ی برخی از حیوانات وحشی بسیار مهم هستند. 
برگ های این گیاه نیز به مصرف تعدادی از پروانه های کمیاب آمریکایی به نام Hedylidae می رسند. 
این گونه ها دارای خواص گیاهی بسیاری بوده و به عنوان یک منبع غذایی شناخته می شوند که بطور سنتی به عنوان دارو نیز نزد افراد بومی کاربرد دارند. 



معرفی و راهنمای پرورش درختان میوه - لوکاست بِری معرفی و راهنمای پرورش درختان میوه - لوکاست بِری

مقابله به آفات لوکاست بِری



آفات رایج Byrsonima basiloba (لوکاست بِری)

در کشت لوکاست‌بِری، آفات مکنده مانند شته‌ها و شپشک‌های آردآلود می‌توانند با تغذیه از شیره گیاهی باعث ضعف عمومی، پیچیدگی برگ و ترشح عسلک شوند که زمینه رشد کپک دوده‌ای را فراهم می‌کند. پایش منظم پشت برگ‌ها و سرشاخه‌ها، کلید تشخیص زودهنگام است. کنترل شامل هرس شاخه‌های آلوده، شست‌وشوی شاخ‌وبرگ با آب، استفاده از صابون حشره‌کش یا روغن‌های باغبانی، و حمایت از دشمنان طبیعی مانند کفشدوزک‌ها است.


امراض مهم و نشانه‌ها

بیماری‌های قارچی مانند لکه‌برگی و آنتراکنوز در شرایط رطوبت بالا می‌توانند لکه‌های قهوه‌ای/سیاه روی برگ و میوه ایجاد کنند و ریزش برگ را افزایش دهند. پوسیدگی ریشه نیز در خاک‌های سنگین و زهکشی ضعیف باعث زردی، پژمردگی و توقف رشد می‌شود. مدیریت رطوبت و بهداشت باغ، مؤثرترین سد دفاعی در برابر بیماری‌هاست.


روش‌های پیشگیری و مدیریت تلفیقی

برای پیشگیری، فاصله کاشت مناسب، تهویه تاج، جمع‌آوری و حذف برگ‌ها و میوه‌های آلوده، و ضدعفونی ابزار هرس توصیه می‌شود. آبیاری باید هدفمند و از خیس‌کردن طولانی برگ‌ها پرهیز شود. در صورت شدت بیماری، استفاده از قارچ‌کش‌های مجاز (مانند ترکیبات مسی) مطابق برچسب و تناوب مصرف، همراه با اصلاح زهکشی و افزودن ماده آلی برای کاهش تنش ریشه انجام شود.



لوکاست بِری لوکاست بِری

نحوه تکثیر لوکاست بِری


تکثیر این گیاه از طریق کشت بذرهای آن صورت می گیرد. بذور دارای پوسته بسیار سختی هستند که قبل از کشت باید شکسته و خراش داده شوند تا جوانه زنی را تسهیل کنند.



locustberries locustberries



منابع :

brazilplantseeds.com
en.wikipedia.org
onlinelibrary.wiley.com
tradewindsfruit.com



ساير تصاوير :
 


 
 
 


گياهان ديگر از همين جنس :
 



گياهان ديگر از همين خانواده :
 
  

نظرات و پرسشهای کاربران

چت آنلاین
اگر سوالی دارید
بفرمایید
پایگاه اینترنتی نارگیل به عنوان یکی از اولین سایت های تخصصی و جامع ترین دایره المعارف گل و گیاه و باغبانی فعالیت خود را از سال ۱۳۸۷ آغاز کرده و از سال ۱۳۹۱ امکان خرید اینترتی محصولات مرتبط با این حوزه مانند انواع گل و گیاه و بذر، خاک و کود های کشاورزی، سموم دفع آفات و ابزار باغبانی را برای علاقه مندان گل و گیاه فراهم نموده است.
© 2026 تمام حقوق مادی و معنوی این سایت متعلق به نارگیل است. استفاده از مطالب در رسانه های آموزشی با ذکر منبع و لینک به صفحه مربوطه بلا مانع است.