-->
فروشگاه اینترنتی گل و گیاه نارگیل            
امروز پنجشنبه ۱۴۰۴/۱۱/۹         
  

Zelkova serrataJapanese zelkova که به فارسی آزاد نامیده میشود، گیاهی از خانواده آلماسه بومی ژاپن ، کره ، شرق چین ، تایوان می باشد. نیاز های این گیاه عبارتند از نور: زیاد رطوبت: مرطوب درجه حرارت: دمای بین 1 تا 16 درجه درجه سانتیگراد خاک: خاک شنی ، ماسه ای ، لومی مرطوب و خوب زهکشی شده
آزاد
آزاد

دانستنیهای علمی



نام علمي
Zelkova serrata
نام لاتين
Japanese zelkova
خانواده (تيره)

گیاه  zelkova serrata  ( درخت آزاد) ، درختی بزرگ با تاج کروی و متعلق به خانواده  Ulmaceae (آلماسه ) بوده که بومی کشورهای ژاپن ، کره ، شرق چین و تایوان است .
این درخت در شمال ایران نیز زیاد به چشم میخورد.



محبوبیت این درخت به عنوان درخت زینتی به علت برگهایش است که در پاییز به رنگهای بسیار زیبایی در می آید و منظره فوق العاده ای را به وجود می آورد .
این گیاه به عنوان بنسای نیز نگهداری میشود.
‏اين درخت هر نوع آب و هوايي را تحمل ميکند و تا ار‏تفاع 1200متري قابليت رويش دارد.
اين درخت تنومند و زيبا بسيار مناسب‏ زينت بخشيدن به چمنزارهاست.
کاربرد: سایه انداز، کاشت در خیابان، سطوح چمن، پرچین، بادشکن.



درخت آزاد در سال 1830 به هلند معرفی شد.
امروزه این گیاه در شمال آمریکا و اروپا محبوب است و از آنجایی که در برابر آلودگی هوا مقاوم است ، در نیویورک به وفور در خیابانها کاشته میشود.
این درخت، جایزه سلطنتی باغبانی را ازآن خود کرده است.



آزاد آزاد

خصوصیات - معرفی


درخت آزاد ، درختی تنومند ، بزرگ و برگریز بوده که سرعت رشد بالایی دارد و بین 20 تا 50 سال زمان نیاز است تا به رشد نهایی خود برسد.
ارتفاع آن بین 15 تا 35 متر است و تاج کروی بزرگ و گسترده ای دارد ،قطر این تاج پوششی بین 15 تا 27 متر میباشد.
پوست تنه این درخت به رنگ خاکستری تیره و فلسی میباشد.
شاخه های این گیاه ظریف و گسترده میباشند.
برگ های این گیاه ساده، متناوب و دندانه دار و بر دونوعند: آن هایی که بر روی شاخه های نر عقیم می رویند،10-15سانتیمتر درازا و5-9 سانتیمتر پهنا دارند،آنهایی که بر روی شاخه های میوه دهنده می رویند،5-7.5 سانتیمتر درازا و3-2 سنتیمتر پهنا دارند.
در سطح فوقانی به رنگ سبز تیره و خشن بوده، در سطح زیرین تقریباً صاف هستند و در پائیز برنگ قرمز/زرد تا قرمز تیره در می آیند.
برگهای این درخت بسیار زیبا و شبیه به نارون میباشند.
گلدهی ، اوایل بهار است .
این گلها جنبه زینتی ندارند به رنگ سبز- زرد میباشند و قطر آنها 1.5 میلی متر است .
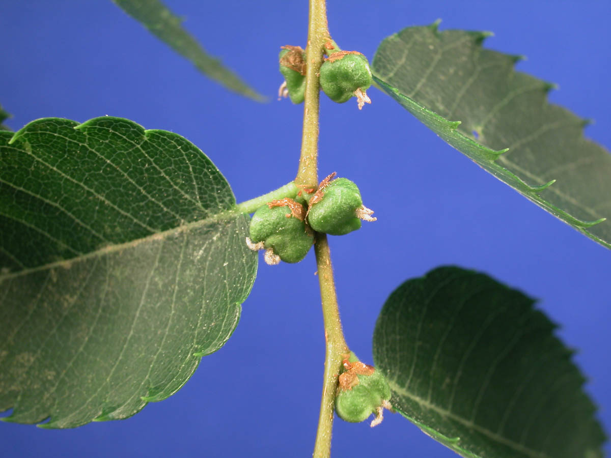
میوه این درخت در پاییز میرسد و از رنگ سبز به قهوه ای تغییر رنگ میدهد .
قطر میوه درخت آزاد بین 2.5 تا 3.5 میلی متر است.



Japanese zelkova Japanese zelkova

شرایط نگهداری آزاد



نور مورد نياز
نور مورد نیاز گیاه آزاد
زیاد
آبياري و رطوبت
رطوبت مورد نیاز  آزاد
مرطوب
دماي مورد نياز
دمای مورد نیاز  آزاد
دمای بین 1 تا 16 درجه سانتیگراد
خاک مورد نياز
خاک مورد نیاز  آزاد
خاک شنی ، ماسه ای ، لومی مرطوب و خوب زهکشی شده

شرایط محیط رشد درخت آزاد به شرح زیر میباشد :

خاک :خاک شنی ، ماسه ای ، لومی  مرطوب و خوب زهکشی شده .
این درخت مقاوم میباشد و در اکثر خاکها از جمله خاکهای قلیایی و خشک نیز رشد میکند.
نور: آفتابی - نیمسایه .
قرار گیری در آفتاب کامل باعث رشد بهتر درخت خواهد شد.
دما: دمای بین 1 تا 16 درجه مناسب است.
این گیاه تا -10 درجه را تحمل میکند ولی بهتر است در معرض بادهای سرد قرار نداشته باشد.
آبیاری: به آبیاری زیاد ، نیازی نیست .
کوددهی: از کود غنی شده با پتاسیم و نیتروژن استفاده کنید.
هرس : در فصل پاییز و برای شکل دادن به درخت ، انجام شود.
سم پاشی : برای از بین بردن حلزون ها ، در زمستان با سم روغنی ، سم پاشی کنید.



Zelkova serrata Zelkova serrata

مقابله به آفات آزاد


آفات و بیماری  : این گیاه در برابر بیماری نارون هلندی مقاوم است و به همین دلیل جایگزین نارون آمریکایی  Ulmus americana شده است .
فقط مراقب بیماری کنه عنکبوتی و حلزون ها باشید.



آزاد آزاد

نحوه تکثیر آزاد


تکثیر این گیاه به 3 روش امکان پذیر است :

1- قلمه چوب نرم : در تابستان اقدام کنید .( از گیاه جوان استفاده شود.)
2-پیوند زدن : در زمستان انجام شود.
3- کاشت بذر: در پاییز و در خارج از منزل اقدام کنید.



Japanese zelkova Japanese zelkova



منابع :
en.wikipedia.org
plants.ces.ncsu.edu
arborday.org
flemings.com.au
missouribotanicalgarden.org
missouribotanicalgarden.org



Nargil :
 



ساير تصاوير :
 


 
 
 


گياهان ديگر از همين خانواده :
 
  

نظرات و پرسشهای کاربران

چت آنلاین
اگر سوالی دارید
بفرمایید
پایگاه اینترنتی نارگیل به عنوان یکی از اولین سایت های تخصصی و جامع ترین دایره المعارف گل و گیاه و باغبانی فعالیت خود را از سال ۱۳۸۷ آغاز کرده و از سال ۱۳۹۱ امکان خرید اینترتی محصولات مرتبط با این حوزه مانند انواع گل و گیاه و بذر، خاک و کود های کشاورزی، سموم دفع آفات و ابزار باغبانی را برای علاقه مندان گل و گیاه فراهم نموده است.
© 2026 تمام حقوق مادی و معنوی این سایت متعلق به نارگیل است. استفاده از مطالب در رسانه های آموزشی با ذکر منبع و لینک به صفحه مربوطه بلا مانع است.