فروشگاه اینترنتی گل و گیاه نارگیل            
امروز سه شنبه ۱۴۰۴/۱۲/۵         
  

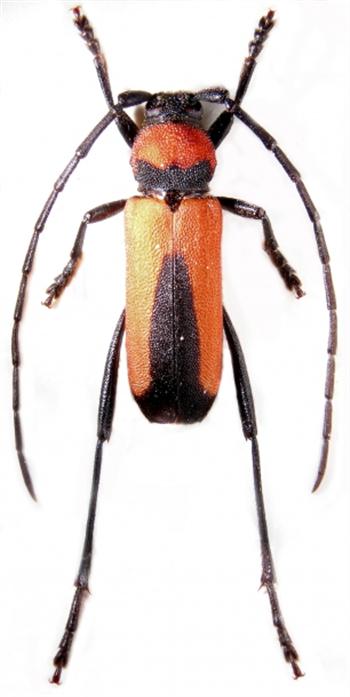
سوسک شاخک‌بلند قرمز پسته *Calchaenesthes pistacivora* از آفات مهم پسته است. حشره کامل ۱۰–۱۳ میلی‌متر طول داشته، قرمز مایل به نارنجی با لکه‌های تیره روی بالپوش و پیش‌گرده و شاخک‌های بلند است؛ لارو زرد مایل به نارنجی با حلقه‌های برجسته و سر بزرگ‌تر مشاهده می‌شود. این آفت هر دو سال یک نسل دارد، روی شاخه‌های یک‌ساله تخم‌ریزی کرده و لارو با تغذیه داخلی موجب خشکیدگی شاخه می‌گردد. مدیریت شامل به‌زراعی، حذف و سوزاندن شاخه‌های آلوده و در صورت نیاز کاربرد حشره‌کش‌ها به‌همراه روغن ولک است.

سوسک شاخک بلند قرمز پسته
سوسک شاخک بلند قرمز پسته





نام علمی : Calchaenesthes pistacivora

مرفولوژی

 
طول بدن حشره کامل حد.د 13- 10 میلیمتر است. رنگ بدن قرمز مایل به نارنجی و دارای لکه‏های تیره بر روی بالپوش و پیش گرده می‏باشد.


بر روی بالپوش دو جفت لکه سیاه که یکی به شکل مربع مستطیل و دیگری گرد تا لوبیایی است وجود دارد. شاخک بلند و تا نزدیکی انتهای بدن می‏رسد. لارو به رنگ زرد مایل به نارنجی که حلقه‏های بدن برجسته و سر بزرگ تر از سایر بندهای بدن است.


بیولوژی:

 
این آفت در هر دو سال یک نسل دارد. تخمریزی بر روی شاخه های یکساله یا روی جای هرس و مکان پیوستن دمبرگ و جوانه به شاخه صورت می‏گیرد. لارو از داخل شاخه تغذیه می‏کند و سبب خشکیدگی شاخه می‏شود. زمستان به صورت لارو در انتهای دالان لاروی است.

اندازه ی این عکس تغییر داده شده است. برای دیدن کامل عکس اینجا را کلیک کنید. اندازه ی عکس اصلی 661x588 و حجم آن 58KB است.

 
مبارزه
 

1) کود دهی و آبیاری مناسب

2) از بین بردن علف های هرز و هرس شاخه های آلوده و حذف پاجوش ها و تنه جوشها و سوزانیدن آنها
 

3) سمپاشی با دیازینون به نسبت 5/1 در هزار و اندوسولفان به نسبت 5/2 در هزار همراه با روغن ولک
 

4) آدمیرال به نسبت 75/0 در هزار بعلاوه روغن ولک 5 در هزار بر روی مراحل تخم ولارو سن اول تأثیر قابل قبولی دارد.



  

نظرات و پرسشهای کاربران

چت آنلاین
اگر سوالی دارید
بفرمایید
پایگاه اینترنتی نارگیل به عنوان یکی از اولین سایت های تخصصی و جامع ترین دایره المعارف گل و گیاه و باغبانی فعالیت خود را از سال ۱۳۸۷ آغاز کرده و از سال ۱۳۹۱ امکان خرید اینترتی محصولات مرتبط با این حوزه مانند انواع گل و گیاه و بذر، خاک و کود های کشاورزی، سموم دفع آفات و ابزار باغبانی را برای علاقه مندان گل و گیاه فراهم نموده است.
© 2026 تمام حقوق مادی و معنوی این سایت متعلق به نارگیل است. استفاده از مطالب در رسانه های آموزشی با ذکر منبع و لینک به صفحه مربوطه بلا مانع است.